Η Μελίσα αγγίζει τη μέγιστη ισχύ
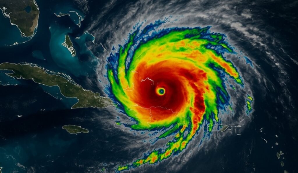
Ο κυκλώνας «Μελίσα» έφτασε στη μέγιστη κατηγορία 5, προκαλώντας συναγερμό σε ολόκληρη την Καραϊβική.
Σύμφωνα με το Αμερικανικό Εθνικό Κέντρο Κυκλώνων (NHC), οι άνεμοι αγγίζουν τα 260 χλμ/ώρα, ενώ οι βροχοπτώσεις και τα κύματα χαρακτηρίζονται «μεγάλα και καταστροφικά».
Η αργή του κίνηση – μόλις 6 χλμ/ώρα – αυξάνει δραματικά τον κίνδυνο παρατεταμένων πλημμυρών και κατολισθήσεων.
Οι πρώτες απώλειες και ο απολογισμός
Ήδη τέσσερις άνθρωποι έχουν χάσει τη ζωή τους: τρεις στην Αϊτή και ένας στη Δομινικανή Δημοκρατία, ενώ αγνοείται ένας έφηβος.
Οι αρχές προειδοποιούν ότι οι αριθμοί πιθανότατα θα αυξηθούν καθώς ο κυκλώνας κινείται βόρεια προς την Τζαμάικα.
«Οι κάτοικοι πρέπει να παραμείνουν στα σπίτια τους για δύο ή τρεις ημέρες», δήλωσε ο διευθυντής του NHC Τζέιμι Ρομ, καλώντας σε πλήρη προετοιμασία για διακοπές ρεύματος και απομόνωση περιοχών.
Η επόμενη 48ωρη κόλαση
Το NHC προειδοποιεί ότι μέσα στις επόμενες 48 ώρες η Μελίσα θα πλήξει άμεσα την Τζαμάικα με τρομακτικά φαινόμενα:
συνεχείς βροχοπτώσεις,
πλημμύρες μεγάλης διάρκειας,
και ανεμοστρόβιλους σε παράκτιες περιοχές.
Τα μοντέλα προβλέπουν ότι η Μελίσα θα εξασθενήσει ελαφρώς μετά τη διέλευσή της από την Τζαμάικα, παραμένοντας όμως επικίνδυνη Κατηγορία 4.
Ιστορική σύγκριση και ανησυχία
Ο τελευταίος κυκλώνας που έπληξε με τέτοια σφοδρότητα την περιοχή ήταν ο Μπέριλ, τον Ιούλιο 2024.
Οι επιστήμονες προειδοποιούν ότι η συχνότητα και η ένταση τέτοιων φαινομένων αυξάνονται λόγω της υπερθέρμανσης του Ατλαντικού.
Η Μελίσα είναι η 13η τροπική καταιγίδα της φετινής περιόδου (Ιούνιος–Νοέμβριος), κάτι που επιβεβαιώνει πως το 2025 εξελίσσεται σε μία από τις πιο ενεργές χρονιές των τελευταίων δεκαετιών.
Η Καραϊβική σε κατάσταση έκτακτης ανάγκης
Οι κυβερνήσεις της Τζαμάικα, της Αϊτής και της Δομινικανής Δημοκρατίας έχουν κηρύξει κατάσταση έκτακτης ανάγκης.
Στρατός και υπηρεσίες πολιτικής προστασίας έχουν ήδη αρχίσει εκκενώσεις χαμηλών περιοχών και παράκτιων οικισμών.
Οι διεθνείς οργανισμοί αναμένουν σοβαρές ανθρωπιστικές ανάγκες, με τον ΟΗΕ να προετοιμάζει αποστολή βοήθειας από το Πόρτ-ο-Πρενς.
Προειδοποιήσεις και επόμενα βήματα
Οι μετεωρολόγοι τονίζουν ότι το πιο επικίνδυνο στοιχείο δεν είναι μόνο οι άνεμοι αλλά η παραμονή του κυκλώνα πάνω από τις ίδιες περιοχές για ώρες ή και ημέρες.
«Η Μελίσα κινείται αργά, πράγμα που σημαίνει ότι οι βροχές θα είναι παρατεταμένες και οι κατολισθήσεις αναπόφευκτες», αναφέρει το NHC.
Η «Μελίσα» φέρνει ξανά την Καραϊβική στο επίκεντρο μιας κλιματικής εποχής χωρίς σταθερούς κανόνες.
Όσο η θάλασσα θερμαίνεται, κάθε επόμενος κυκλώνας φτάνει πιο γρήγορα, μένει περισσότερο και αφήνει πίσω του μια σιωπηλή προειδοποίηση: Ότι η νέα κανονικότητα των τροπικών καταιγίδων μόλις ξεκίνησε.
Follow Sahiel on Google News
Μείνε ενημερωμένος με τις τελευταίες ειδήσεις, αναλύσεις και γεωπολιτικές εξελίξεις.
Follow Sahiel on Google News
Μείνε ενημερωμένος με τις τελευταίες ειδήσεις, αναλύσεις και γεωπολιτικές εξελίξεις.
Follow Sahiel on Google News
Μείνε ενημερωμένος με τις τελευταίες ειδήσεις, αναλύσεις και γεωπολιτικές εξελίξεις.
